来源:光明网 2017年3月14日
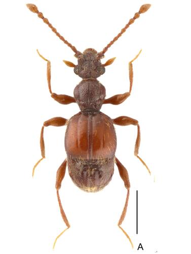
“西郊公园毛角蚁甲”标本照
2015年,上海动物园技术研究人员开展“上海动物园资源昆虫多样性调查及在保护教育资源中的开发应用”这项课题,邀请以昆虫学研究为专长的上海师范大学作为协作单位,摸底调查园内的本土昆虫多样性,研究相关科普教育活动的开展方式。课题组采集了大量的昆虫样本,鉴定出的种类超过了270种,其中1头与众不同的小甲虫引起课题组的注意,经过文献资料查阅和标本解剖比对,最终由上海师范大学生命与环境科学学院副教授殷子为鉴定为新物种。
根据这个新种发现于上海动物园,故用上海人最熟悉的“西郊公园”命名了这个新种小甲虫的种名,由于它隶属于毛角蚁甲属,故中文俗名全称为“西郊公园毛角蚁甲”,正式拉丁学名为Batriscenellus xijiaogongyuan Yin, Jiang & Chen, 2017。这篇记述上海新物种的学术论文已于2017年3月正式刊登在国际动物学权威期刊《Zootaxa》上。

“西郊公园毛角蚁甲”在分类上属于昆虫纲,鞘翅目,隐翅虫科,蚁甲亚科。昆虫,就是一类躯体分为头、胸、腹三部分,拥有2对翅膀和3对足的节肢动物。
其次,它属于鞘翅目,也就是我们俗称的“甲虫”,特征是前翅角质化。甲虫是全球动物界里的最大的目,物种总数超过30万种。
接着,隐翅虫是鞘翅目下的一类特殊的甲虫,是一种主要栖息于落叶腐殖层的小型捕食性甲虫,外部特征是:鞘翅极短,腹部体节外露。全世界已记载的种类超过6.5万种,我国已知超过6000种,隐翅虫在生态系统中占有重要的地位,其物种的多样性可以反映出该地的生态环境的优劣。然而,上海地区过去百年来一共仅记录60种隐翅虫科物种,且多为常见的广布种,这可能与上海本身的自然环境——缺乏山地森林系统、近数十年来城市化进程以及缺少物种多样性的基础调查有关。

隐翅虫的代表种——突眼隐翅虫
蚁甲亚科是隐翅虫科下一类小型甲虫,也就是“蚁甲”,外形酷似蚂蚁,拥有较短的腹部和较长的触角,全世界已记载1万种以上。上海地区过去几乎没有蚁甲的分布记录,仅在在2011年记录了1种蚁甲。
课题组成员正在调查研究
上海动物园饲养科工程师朱建青向记者介绍说,能在上海城区发现新物种的概率是相当低的。可见上海动物园自然环境优越,生态环境良好,物种多样性较高,不仅承担着圈养野生动物的易地保护,也默默地呵护了本土物种。
链接地址:http://difang.gmw.cn/sh/2017-03/14/content_23966130.htm?from=singlemessage&isappinstalled=0
标题:上海动物园发现新物种命名西郊公园毛角蚁甲
记者:曹继军 魏娜
最近,上海动物园发现了新物种,一种以前从来没被人类记载过的小甲虫,经上海师范大学和上海动物园的技术研究人员鉴定和记述,正式命名为——“西郊公园毛角蚁甲”。
记者:曹继军 魏娜
最近,上海动物园发现了新物种,一种以前从来没被人类记载过的小甲虫,经上海师范大学和上海动物园的技术研究人员鉴定和记述,正式命名为——“西郊公园毛角蚁甲”。

“西郊公园毛角蚁甲”标本照
2015年,上海动物园技术研究人员开展“上海动物园资源昆虫多样性调查及在保护教育资源中的开发应用”这项课题,邀请以昆虫学研究为专长的上海师范大学作为协作单位,摸底调查园内的本土昆虫多样性,研究相关科普教育活动的开展方式。课题组采集了大量的昆虫样本,鉴定出的种类超过了270种,其中1头与众不同的小甲虫引起课题组的注意,经过文献资料查阅和标本解剖比对,最终由上海师范大学生命与环境科学学院副教授殷子为鉴定为新物种。
根据这个新种发现于上海动物园,故用上海人最熟悉的“西郊公园”命名了这个新种小甲虫的种名,由于它隶属于毛角蚁甲属,故中文俗名全称为“西郊公园毛角蚁甲”,正式拉丁学名为Batriscenellus xijiaogongyuan Yin, Jiang & Chen, 2017。这篇记述上海新物种的学术论文已于2017年3月正式刊登在国际动物学权威期刊《Zootaxa》上。

标识①为“西郊公园毛角蚁甲”的分布地
“西郊公园毛角蚁甲”在分类上属于昆虫纲,鞘翅目,隐翅虫科,蚁甲亚科。昆虫,就是一类躯体分为头、胸、腹三部分,拥有2对翅膀和3对足的节肢动物。
其次,它属于鞘翅目,也就是我们俗称的“甲虫”,特征是前翅角质化。甲虫是全球动物界里的最大的目,物种总数超过30万种。
接着,隐翅虫是鞘翅目下的一类特殊的甲虫,是一种主要栖息于落叶腐殖层的小型捕食性甲虫,外部特征是:鞘翅极短,腹部体节外露。全世界已记载的种类超过6.5万种,我国已知超过6000种,隐翅虫在生态系统中占有重要的地位,其物种的多样性可以反映出该地的生态环境的优劣。然而,上海地区过去百年来一共仅记录60种隐翅虫科物种,且多为常见的广布种,这可能与上海本身的自然环境——缺乏山地森林系统、近数十年来城市化进程以及缺少物种多样性的基础调查有关。

隐翅虫的代表种——梭毒隐翅虫

隐翅虫的代表种——突眼隐翅虫
蚁甲亚科是隐翅虫科下一类小型甲虫,也就是“蚁甲”,外形酷似蚂蚁,拥有较短的腹部和较长的触角,全世界已记载1万种以上。上海地区过去几乎没有蚁甲的分布记录,仅在在2011年记录了1种蚁甲。

课题组成员正在调查研究
上海动物园饲养科工程师朱建青向记者介绍说,能在上海城区发现新物种的概率是相当低的。可见上海动物园自然环境优越,生态环境良好,物种多样性较高,不仅承担着圈养野生动物的易地保护,也默默地呵护了本土物种。
链接地址:http://difang.gmw.cn/sh/2017-03/14/content_23966130.htm?from=singlemessage&isappinstalled=0
